Hallo Leute,
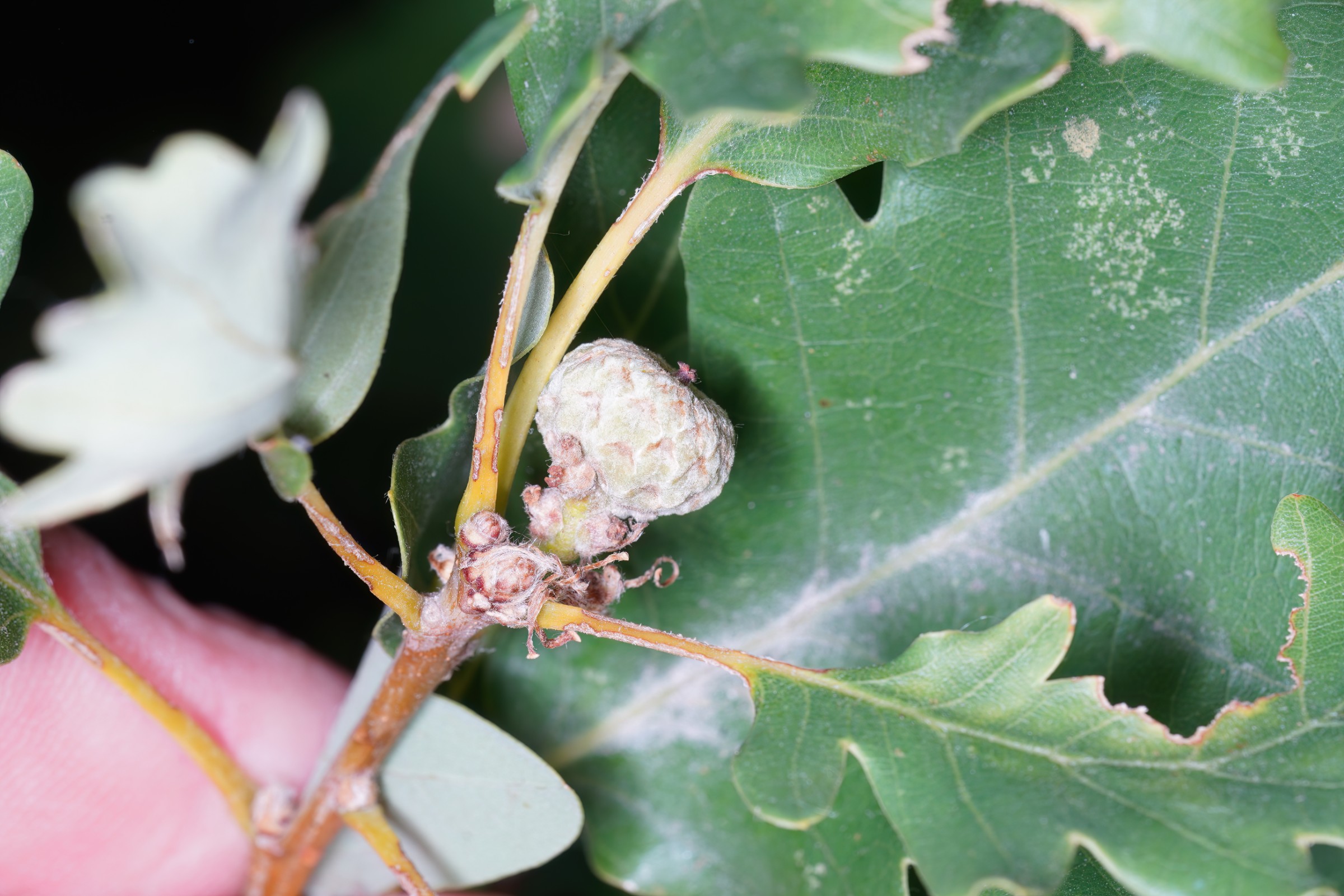
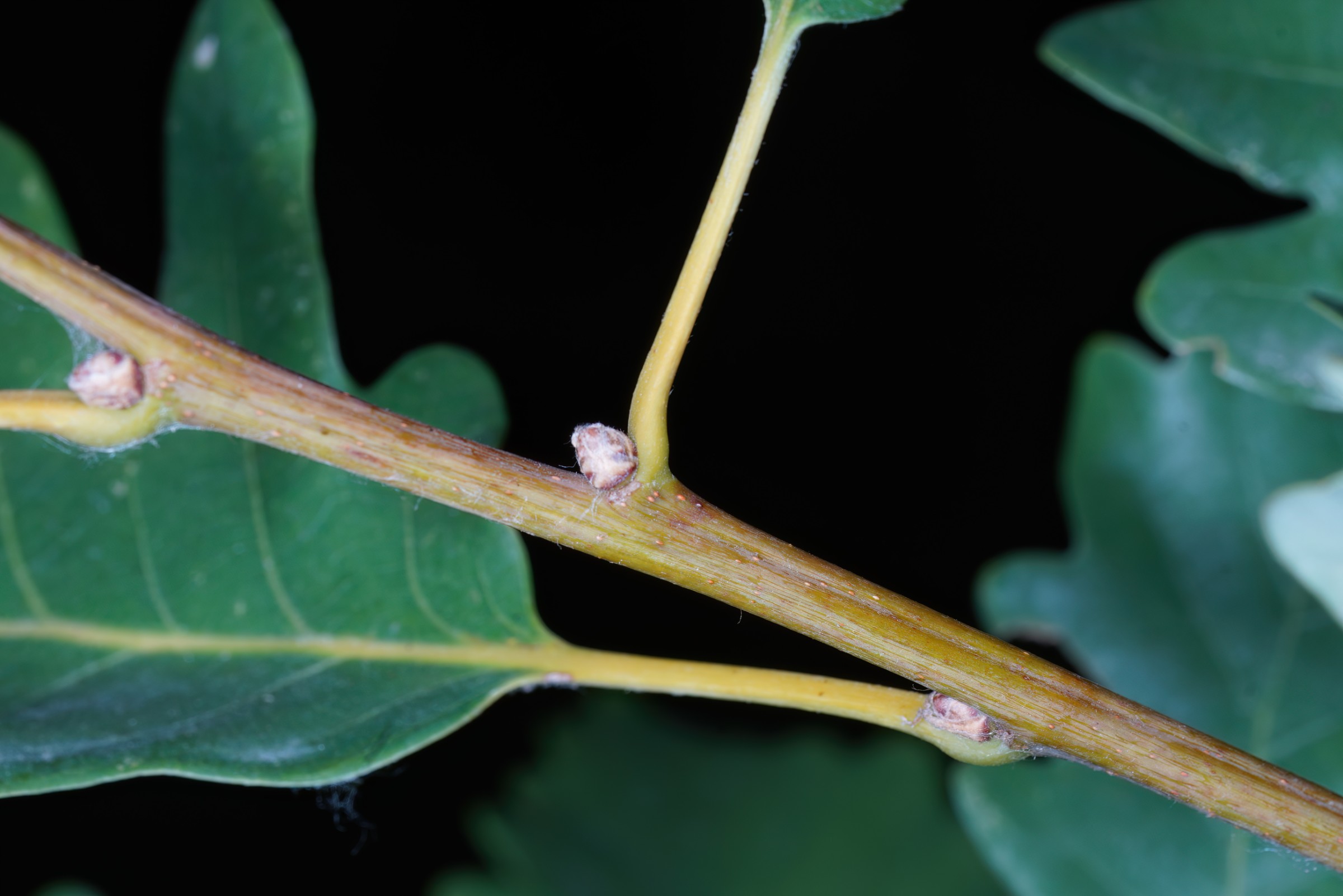
Ich habe diese Eiche letzte Woche in der Nähe des Sportfischerverein Rheinstetten-Forchheim e.V. fotografiert.
Mir waren die bis zu 3cm lang gestielten Blätter ungewöhnlich, ich dachte im ersten Moment an die Flaum- Eiche (Quercus pubescens) aber wirklich flaumig ist die Eiche nicht. Und die soll es bei uns ja nur am Kaiserstuhl geben.
Die Nerven der Blätter gehen wie bei Quercus robur in die Buchten, die Stiele sind aber viel zu lang.
Quercus petraea hat ja schon mal so lange Stiele, aber keine Nerven in den Buchten.
Ist das eine Hybride aus Quercus robur und Quercus petraea?
Hybride aus Quercus robur und Quercus petraea?
Forumsregeln
Bitte immer den Fundort (Land, Stadt, Habitat etc.) und das Funddatum angeben. TIPP: Je mehr Detailbilder ihr von einer Pflanze zeigt, also zum Beispiel Gesamtaufnahme der Pflanze, Blatt + Blüte von oben und unten, Stängel unten + oben, Früchte oder weiteres, desto größer ist der Bestimmungserfolg im Forum.
Bitte immer den Fundort (Land, Stadt, Habitat etc.) und das Funddatum angeben. TIPP: Je mehr Detailbilder ihr von einer Pflanze zeigt, also zum Beispiel Gesamtaufnahme der Pflanze, Blatt + Blüte von oben und unten, Stängel unten + oben, Früchte oder weiteres, desto größer ist der Bestimmungserfolg im Forum.
Hybride aus Quercus robur und Quercus petraea?
- Dateianhänge
Grüße
Christian
„Alles, was gegen die Natur ist, hat auf Dauer keinen Bestand“ – Charles Darwin
Christian
„Alles, was gegen die Natur ist, hat auf Dauer keinen Bestand“ – Charles Darwin
Re: Hybride aus Quercus robur und Quercus petraea?
Hallo,
an Hybride "glaube" ich schon, aber nicht Q. robur mit petraea, sondern eher Q. pubescens mit Q. petraea.
Solch hellen (leicht behaarten?) Unterseiten (sind die angeblitzt?) gibt es bei der erstgenannten Hybride nicht (die wäre unbehaart).
Vielleicht ist es die Hybride Q. pubescens x petraea, diese hätte auch Nerven, die in die Blattbuchten gehen hin und wieder (weil Q. pubescens hat das auch), sowie eine sehr kurz gestielte Frucht, Schuppen am Fruchtbecher ziemlich behaart (von pubescens), sowie ein paar bleibende Nebenblätter an der Endknospe (von pubescens).
Hier sieht man sehr (!) wenig Behaarung (aber doch ein bisschen) + längere Blattstiele (aber auch recht variabel ... bei deinen Bildern ja auch) von Q. petraea.
Sicher bin ich mit solch "mutmaßten" Hybriden nicht, aber ich bin noch mal Schlüssel durchgegangen und komme - erstmal - nicht zu einem alternativen Ergebnis.
http://oaks.of.the.world.free.fr/quercus_streimii.htm
https://www.arboretumwespelaar.be/EN/Id ... a/#alfabet (da suchen)
Man sieht hier aber doch weniger helle Unterseiten und behaartere Triebe, deshalb weiterhin unsicher.
an Hybride "glaube" ich schon, aber nicht Q. robur mit petraea, sondern eher Q. pubescens mit Q. petraea.
Solch hellen (leicht behaarten?) Unterseiten (sind die angeblitzt?) gibt es bei der erstgenannten Hybride nicht (die wäre unbehaart).
Vielleicht ist es die Hybride Q. pubescens x petraea, diese hätte auch Nerven, die in die Blattbuchten gehen hin und wieder (weil Q. pubescens hat das auch), sowie eine sehr kurz gestielte Frucht, Schuppen am Fruchtbecher ziemlich behaart (von pubescens), sowie ein paar bleibende Nebenblätter an der Endknospe (von pubescens).
Hier sieht man sehr (!) wenig Behaarung (aber doch ein bisschen) + längere Blattstiele (aber auch recht variabel ... bei deinen Bildern ja auch) von Q. petraea.
Sicher bin ich mit solch "mutmaßten" Hybriden nicht, aber ich bin noch mal Schlüssel durchgegangen und komme - erstmal - nicht zu einem alternativen Ergebnis.
http://oaks.of.the.world.free.fr/quercus_streimii.htm
https://www.arboretumwespelaar.be/EN/Id ... a/#alfabet (da suchen)
Man sieht hier aber doch weniger helle Unterseiten und behaartere Triebe, deshalb weiterhin unsicher.
Viele Grüße von abeja
Re: Hybride aus Quercus robur und Quercus petraea?
Das Habitusbild gehört aber wohl zu einer (Silber-)Pappel, oder?
-
Kraichgauer
- Beiträge: 2263
- Registriert: Mi Jun 22, 2022 10:18 pm
- Wohnort: Bruchsal
Re: Hybride aus Quercus robur und Quercus petraea?
Von der Blattform her steckt definitiv Q. pubescens drin. Die Hybriden mit pubescens werden als Bäume häufig verkauft, warum auch immer. Ich habe auch so einen bekommen, als ich mal "Q. pubescens" im Gartenhandel geordert habe.
Gruß Michael
Gruß Michael
Re: Hybride aus Quercus robur und Quercus petraea?
danke für eure Beträge, da lag ich mit meinem ersten Eindruck von Quercus pubescens wohl gar nicht so falsch, zumindest ein bisschen Flaum ist nach meinem anschauen vorhanden.
Sofern es keine anderen Meinungen gibt, verbuche ich das jetzt mal als (sehr wahrscheinliche) Hybride von Q. pubescens mit Q. petraea.
Sofern es keine anderen Meinungen gibt, verbuche ich das jetzt mal als (sehr wahrscheinliche) Hybride von Q. pubescens mit Q. petraea.
Grüße
Christian
„Alles, was gegen die Natur ist, hat auf Dauer keinen Bestand“ – Charles Darwin
Christian
„Alles, was gegen die Natur ist, hat auf Dauer keinen Bestand“ – Charles Darwin